帖子 用户 招聘
  • 732阅读
  • 0回复

[其他]小麦蚜虫越来越难治?教你1个配方,杀虫快,效果好,很实用 [复制链接]

上一主题 下一主题
离线liuliu95623

只看楼主 倒序阅读 使用道具 楼主  发表于: 2021-03-11
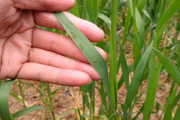
现在小麦已经进入抽穗扬花期,正是产量形成的关键时期,生长中后期除了预防倒春寒,也到了各种病虫害防治的时间,最近很多农户说一些地方已经发生了赤霉病或者锈病,小麦蚜虫 发生的也比较多,农户朋友们应该如何防治?


小麦蚜虫大家都不陌生,也叫做麦​蚜或者穗蚜,一般先聚集在小麦叶片上,等到天气条件适宜时,在小麦生长中后期开始快速繁衍,危害植株。小麦抽穗后,蚜虫发生比较严重,影响小麦灌浆,籽粒生长不饱满,还会传播病害,严重影响了小麦产量。


​一、小麦蚜虫为什么会发生很多呢?一方面是天气原因,年前的暖冬天气,适合蚜虫的发生,小麦抽穗后,温度逐渐升高,天气条件也有利于蚜虫的发生。
另一方面,有些地块发生严重,有些几乎没有虫害,主要和管理有关,没有提前防治,后期也会大面积发生,严重时还会引起病毒病的大流行。


现在为什么说小麦蚜虫越来越不好治了呢?第一呢,小麦已经进入孕穗中期了,有些农户为了省事,一亩地打了一桶水,没有打匀打透,穗部的蚜虫是治住了,但是下部茎秆还会继续繁衍,比穗部的还多。
第二,打药的时间不对,一些农户看别人去打药了再去打药,一般在进入孕穗期就要开始打药了。
第三,防治药剂过于单一,比如第一遍用吡虫啉,第二遍还是吡虫啉,这样就有抗性了。


在种植时,选择抗病品种,播种前用吡虫啉拌种,以及浇越冬水和返青水都会抑制蚜虫的危害作用。除了这些以外,要想防治效果较好,农户朋友要注意一定要在合适的时间内选择合适的药剂进行打药。
防治蚜虫常用的药剂有高效氯氟氰菊酯、吡虫啉以及噻虫嗪,以及一些复配药剂,一般需要防治2~3次,第一次防治的时间在小麦的苗期,控制虫害发生的基数。第二次,在小麦孕穗期,选择与前一种不同的药剂,或者复配的药剂效果更好。另外也可结合一喷三防进行综合防治,效果较好。


打药时,要喷洒均匀,可加入适量的有机硅,这是一种延展剂,小麦植株很稠,打药之后,仅靠叶片吸收,效果很差,而有机硅能让药液迅速的向下延伸,提高防治效果。
无论是小麦病害还是虫害,重在预防,及时管理,这样才能达到最好的防治效果,保证小麦的产量。
 
分享到
快速回复
限80 字节
发帖请遵守“191农资人”电子公告服务规则:https://www.191.cn/read.php?tid=72784
 
上一个 下一个